Location local d'activités GENAS - 170 m²

Localisation69740 GENAS
Planifier une visitePlanifier une visite
Local d'activités Location 69740 GENAS
Disponibilité Après accord
Local d'activités Location 69740 GENAS Local d'activités Location 69740 GENAS Local d'activités Location 69740 GENAS Local d'activités Location 69740 GENAS Local d'activités Location 69740 GENAS

Ce bien vous intéresse ?

Afficher le numéro

Description Aménagements Surfaces Localisation Energies Infos Marché

Description

Annonce mise à jour le 20/11/2025

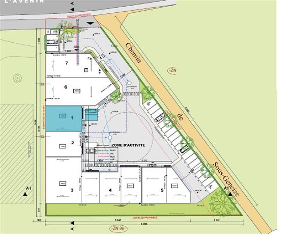
Vous recherchez des locaux d'activités à louer sur la commune de Genas ? CBRE Lyon vous propose de découvrir le parc d’activités « PARK AVENIR » bénéficiant d’une excellente situation géographique en plein coeur de la ZI MI-PLAINE, bassin économique le plus dynamique de la région Rhône Alpes . Il se compose de 7 lots dont 1 lot à usage de local commercial, et dispose de 26 places de parkings.

La ville de Genas est composée de 3 zones industrielles majeures, la ZI Mi-plaine, étalée sur plus de 1 000 hectares et représentant environ 20 000 emplois. La ZAC des Grandes Terres, étalée sur 20 hectares et hébergeant une quarantaine d'entreprises et EverEst Parc, aménagé par la SERL sur 44 hectares et ayant reçu le label HQE-Aménagement.

Aménagements

Aménagements :
ACTIVITES
Charpente métallique avec une hauteur libre utile de 7m
Bardage métallique vertical double-peau, isolation 110 mm
Dallage sur terre-plein en béton armé, surcharges 2 T/m² maximum, surfaçage avec durcisseur quartz teinte naturelle
Planchers des mezzanines : dalles de compression en béton, surcharges d’exploitation 350 kg/m², finition lissée sur le dessus.
Escalier et garde-corps
Electricité : branchement EDF tarif bleu 36 Kva, comprenant 2 prises courant 380 V, + 2 prises courant 220 V sous le TGBT
Murs de séparation (entre lots) en agglomérés
Eclairage zénithal 5 % par voûte translucide
1 Porte sectionnelle 4,00m X 4,5m par lot
1 auge / cuve d’atelier en céramique

BUREAUX
Menuiseries extérieures en aluminium laqué, ouvrants à la française, double-vitrage clair planitherm
Portes issue de secours métalliques, serrures 3 points, dimensions selon plan de vente
Casquette brise soleil
Faux plafonds en plaque de plâtre décorative, acoustique type «GYPTONE» posé en dalle de 660x600 mm
Carrelage grès émaillé format 40x40 cm
2 prises courant 2x10/16 A, + 1 RJ 45 par poste de travail posées dans plinthes électriques PVC 130x50 placées en périphérie
Chauffage & rafraichissement des bureaux par pompe réversible à réglage individuel, équipé d’un SPLIT mural
. Etat : Neuf

Caractéristiques :

  • Prestations locaux activité / entrepôt
  • Éclairage
  • Neuf ou restructuré

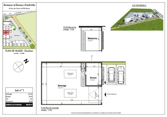
Surfaces

CelluleEtageNatureSurface (m²)Disponibilité
Lot 1MezzanineActivités24Après accord
Lot 1Rez-de-chausséeBureaux23Après accord
Lot 1Rez-de-chausséeActivités123Après accord
Lot 1ParkingsAprès accord
Total bâtiment  170 

Localisation

Localisation
69740 GENAS
Facilités
. N346 (Rocade Est), sortie 8 ou 9.
. Transports en commun TCL : bus lignes ZI5 et 28.

Energies

DPE

Diagnostic de performance énergétique

Informations sur le Marché

Loyer : 21 000 € an HT HC
170 m²
Non divisible
21 000 € an HT HC
 
170 m²
Non divisible
21 000 € an HT HC
Joshua GUILLAUDIN

Votre contact

Joshua GUILLAUDIN

À l'envoi, vous acceptez nos CGU
Envie de faciliter votre recherche ? Créer un compte

Annonces similaires

Vos favoris

Les offres ajoutées en favori seront perdues en fin de session. Pour conserver vos données et bénéficier d'autres avantages, nous vous invitons à vous identifier ou à créer un compte CBRE.

Aucun élément trouvé.
Loading...